Сохранение органических остатков

Существованием ископаемых в довольно большом количестве мы обязаны процессу консервации некогда живых организмов. Хотя большая часть отдельных организмов, некогда живших на Земле, была уничтожена, местами их тела или части тел оказались защищенными от воздействия кислорода. Они были быстро погребены под осадками и затем превращены в породы в результате осаждения минерального вещества из медленно просачивающихся вод, пропитывающих грунт. Такова в общих чертах история большинства ископаемых. Давайте посмотрим более внимательно, каким путем сохраняются органические остатки.

Когда животное или растение умирает, большая часть его вещества довольно быстро подвергается разрушению. Другие организмы, среди которых особенно важную роль играют бактерии, пожирают или химически разлагают его. Обычной реакцией в химическом разложении как органического, так и неорганического вещества является окисление. Мы видим в лесу, что ствол упавшего дерева, пролежавший на земле несколько лет, становится бурым и сгнивает. Ископаемые остатки, встречающиеся в пластах пород, составляют лишь ничтожную часть когда-то живших организмов, избежавшую общей участи. В виде исключения их тела были защищены от окисления и трупоядных животных, что обычно происходило благодаря погружению в воду в момент смерти или вскоре после него.

Фото 13. Это песчаное русло временного водотока большую часть времени сухое или почти сухое. При сильных ливнях по нему течет мутный поток, в котором тонут животные, а их трупы уносятся течением и быстро погребаются в аллювии.

Огромное большинство ископаемых остатков принадлежит морским беспозвоночным - различным моллюскам и им подобным организмам. Мягкие ткани их тел или заживо съедались хищниками, или пожирались животными-могильщиками после смерти этих организмов. Но твердые раковины сохранялись и заносились осадками, отлагавшимися на дне моря. На суше возможность сохранения была гораздо меньше. Но даже там некоторые животные и растения попадали в живом или мертвом виде в воду, которая предохраняла их тела от окисления. Другие быстро погребались под накапливающимися осадками, которые вскоре после этого насыщались грунтовыми водами. Часто захоронение как животных, так и растений происходило при паводках на реках (фото 13). Другой причиной сохранности могло быть быстрое накопление вулканического пепла, а иногда и текущей лавы. Короче говоря, главными факторами, обеспечивающими сохранность остатков на первых этапах, были быстрое погребение или погружение в воду, или и то и другое вместе. Почти такое же значение имеет третий фактор - наличие в мертвом организме твердого вещества (раковины, костей, зубов или рогов), которое противостоит действию трупоядных организмов и химическому разложению. Почти все ископаемые остатки состоят из одних скелетов; мягкие ткани сохраняются редко и только в совершенно особых условиях. Однако, если тело захороняется целиком, оно может сохраняться до мельчайших деталей (фото 4). Даже игра красок на крыльях ископаемых насекомых сохранилась в течение сотен миллионов лет.

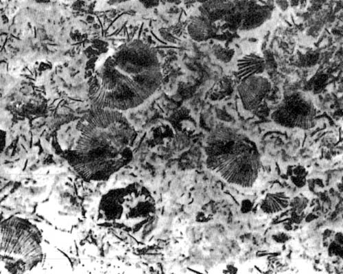
Фото 4. Ископаемые остатки беспозвоночных, обнаруженные на поверхности слоя известняка. Этот слой когда-то был дном мелководного моря, покрывавшего часть американского континента сотни миллионов лет назад.

Способы сохранения. Образование ископаемых остатков не обязательно заканчивается после захоронения. Они могут подвергаться и другим воздействиям, в том числе таких процессов, которые полностью меняют их состав или разрушают вещество, сохраняя внешнюю форму.

Наиболее простой пример представляет тело, которое оказалось заключенным в лед, асфальт или другое природное вещество, которое сохраняет материал этого тела. Именно так случилось с 36 мамонтами и несколькими шерстистыми носорогами, найденными в северной Сибири за последние 200 лет; их трупы сохранились в грунтах, находившихся в мерзлом состоянии со времени последнего оледенения. Мясо, по крайней мере одного из них, было настолько свежим, что его ели ездовые собаки. Распространено ошибочное мнение о том, что некоторые из этих мамонтов были найдены во льду ледников. Это не так. Насколько нам известно, они были заключены в промерзшем иле. Возможно, животные утонули в болотах как раз перед осенними заморозками, при этом ил промерз на большую глубину, и на следующий год, ранней весной, еще до того, как он оттаял, речное половодье отложило толстый слой аллювия. Этот слой препятствовал таянию залегавших ниже пород. Радиоуглеродные определения возраста, сделанные для шкуры и шерсти этих животных, показали, что между самым ранним и самым поздним захоронением прошло более 30 000 лет. Таким образом, если взять только 36 найденных мамонтов, то в среднем захоронение животных, утонувших в трясине, должно было происходить только раз в 800 лет. По сравнению с этим число мамонтов, которые погибли более обычным способом, должно быть гораздо больше. Согласно подсчетам, из Сибири были вывезены в виде слоновой кости бивни 20 000-30 000 мамонтов, найденных на поверхности. Возможно, еще большее количество бивней и целых туш все еще погребено в мерзлом иле.

Другой пример - это туши шерстистых носорогов ледниковой эпохи, сохранившиеся даже с характерной для них длинной шерстью в нефти, которая сочилась из земли и затем затвердевала. В восемнадцатой главе описан случай захоронения костей миллионов млекопитающих в нефтяном озере в Калифорнии (такие же захоронения есть и около города Баку. - Ред.). Химизм сохранения остатков в нефти во многом сходен с мумификацией человеческих останков, использовавшейся древними египтянами. Бальзамировщики использовали нефть, которая не пропускает воздуха и потому препятствует окислению.

Фото 14. Окаменелое дерево. Срез небольшого ствола. Клеточная структура сохранилась вследствие заполнения клеток кремнеземом.

Гораздо чаще - практически всегда - мягкие части трупов разрушаются, а твердые подвергаются окаменению. Этот процесс, в основе химический, протекает в толще грунта и представляет собой часть медленно протекающего процесса превращения осадков в осадочные породы. Медленно просачивающаяся грунтовая вода отлагает минеральные вещества в пористых внутренних частях костей или в полостях клеток растений (фото 14). Грунтовая вода может также растворять первичное вещество раковин или костей и замещать его каким-либо другим веществом, обычно кремнеземом, иногда в виде опала; реже, при соответствующем химизме среды, происходит замещение каким-либо редким минералом, как, например, чистым серебром. Наконец, окаменение может совершаться путем естественной возгонки, происходящей глубоко под землей. При этом процессе водород и кислород, содержавшиеся в исходном органическом веществе, медленно выделяются в виде различных газов и остается только углерод. Таким образом, форма организма, очень часто это бывают рыбы, сохраняется в виде почти чистого угля (фото 15).

Фото 15. Рыба длиной 15 см (род Reelfieldius), сохранившаяся в углефицированном виде в результате естественной возгонки в триасовых сланцах (Дурхэм Конн, США).

Фото 16. Отпечаток листа платана в эоценовых алевролитах, штат Юта. Сам лист разрушен; темный цвет объясняется наличием минерального вещества, отложенного грунтовыми водами во время превращения первичного осадка в горную породу.

Хотя большая часть известных нам ископаемых представляет собой окаменелые раковины и кости, существуют и другие способы консервации организмов. В слоях ила и глины, отложенных на дне глубоких озер, часто встречаются отпечатки листьев (фото 16). Листья опускаются на дно озера и постепенно покрываются отложениями. Вещество листа разлагается, но отпечаток его формы остается. Иногда таким же образом сохраняются отпечатки насекомых (фото 36).

Фото 36. Ископаемая Glossina (муха це-це) из озерных олигоценовых отложений. Рядом с ней - ископаемый лист дерева, родственного современным березам.

Редкая разновидность отпечатка была обнаружена в слое базальта - лавовом потоке олигоценового или миоценового возраста - около города Каули, штат Вашингтон. Двадцать - двадцать пять миллионов лет назад на пути этого потока, наступавшего на мелководное озеро, оказался лежавший на боку труп носорога длиной более двух метров; труп был заключен в лаву, которая в воде остыла настолько быстро, что не разрушила органических тканей. Таким же образом лава залила и росшие поблизости деревья.

Рис. 33. Реконструкция позы трупа ископаемого носорога (Вашингтон). (Пояснение дано в тексте.)

Открытые в 1935 г. остатки носорога представляли собой небольшую полость в теле лавового потока, имевшую форму раздувшегося трупа носорога (рис. 33); в этой полости находились челюсть, зубы и другие кости животного. Для изучения формы тела носорога был сделан гипсовый слепок полости.

Фото 17. Цепочки следов, в большинстве длиной 25-45 см, оставленных динозаврами на поверхности напластования триасовых песчаников. Государственный заповедник динозавров, Коннектикут. Более 200 миллионов лет назад этот песчаник был песчаным аллювием. Стрелками указаны гораздо более мелкие следы, возможно, принадлежащие животному, изображенному на рис. 47.

Фото 18. Следы насекомых и птиц в алевролитах, оставленные около 45 миллионов лет назад на побережье эоценового озера в штате Юта.

Еще один вид ископаемых остатков, никогда не содержавших органического вещества, - это отпечатки следов (фото 17). Из них сохраняются только те следы, которые были перекрыты тонкими отложениями, прежде чем их успела разрушить эрозия. Иногда даже крохотные следы мелких насекомых (фото 18), а также отпечатки дождевых капель сохраняются очень отчетливо. Такие отпечатки не просто редкость. Они содержат информацию о размере животного, длине конечностей, наличии когтей, копыт и т.д., а также о том, как передвигалось это животное - тягами, бегом иди прыжками. Другой, на первый взгляд странный, но надежный источник сведений - это окаменевшие экскременты животных. Изучение их тонких срезов под микроскопом помогает определить, какую пищу употребляли животные, и неопровержимо свидетельствует о том, что некоторые из них были каннибалами. Они питались животными того же вида.

Таковы основные способы образования и консервации ископаемых остатков - глубокое промерзание тел, окаменение костей и раковин, естественные отливки, отпечатки следов; всем им сопутствует захоронение тем или иным способом, обычно очень быстрое (фото 19).

Фото 19. Палеонтологи откапывают кости огромного динозавра диплодока в юрских песчаниках во впадине Бигхорн, Вайоминг.

Реконструкция. Для того чтобы ископаемые остатки могли по-настоящему изучать специалисты, они должны быть реконструированы. Некоторые ископаемые, особенно морские беспозвоночные (двустворчатые моллюски, улитки, устрицы), почти не требуют реконструкции, кроме разве подбора соответствующих друг другу створок раковины. Но реконструкция ископаемого позвоночного животного - задача гораздо более сложная. Чаще всего отдельные кости оказываются сдвинутыми или разбросанными. Прежде чем собирать их, каждую кость нумеруют (или помечают как-то иначе) и тщательно фотографируют в том положении, в каком она была найдена. Затем, уже в лаборатории, они очищаются от вмещающей породы и подбираются по порядку специалистом, знающим анатомию.

Восстановление скелета вымершего животного основывается на общих анатомических закономерностях, но реконструкция мягких тканей, кожи и шерсти не может быть совершенно точной, потому что она может осуществляться только по аналогии с ныне живущими родственными видами. Хотя о различных, менее очевидных анатомических подробностях можно только догадываться, все же ископаемые остатки рассказывают нам гораздо больше, чем это кажется с первого взгляда. Остатки наземных животных включают не только кости, зубы, рога и пластинки панциря, но также превосходные отпечатки шкуры и следы, сохранившиеся до мельчайших подробностей. В некоторых случаях можно судить об умственных способностях животного по форме и величине гипсовой отливки внутричерепной полости, содержавшей мозг. Конфигурация черепа позволяет также судить об органах чувств - зрения, слуха, обоняния - и предположить, могло ли это животное издавать звуки. Иногда ископаемые кости сохраняют даже следы болезней животного. При восстановлении облика вымерших млекопитающих, живших во время последнего оледенения, современным ученым приходят на помощь художники каменного века, которые оставили на стенах пещер изображения животных (на которых они охотились) в том виде, в каком они их наблюдали (рис. 34).

Рис. 34. Точное изображение вымерших млекопитающих ледниковой эпохи, сделанное художниками позднего каменного века.
Вверху шерстистый носорог. Внизу найденное в Западной Франции изображение нападающего мамонта, вырезанное на куске клыка 10 000-16 000 лет назад. Художник не вырезал до конца клыки, хобот и передние ноги.

Предыдущая | Оглавление | Следующая


Религия

Биология

Геология

Археология

История

Мифология

Психология

Астрономия

Разное